川崎市中原区新城5丁目 新築一戸建 8980万円 No.2

物件種別

新築一戸建て

価格

8,980万円

所在地

川崎市中原区 新城5丁目 8-7

交通

南武線「武蔵新城」駅 徒歩 3 分

南武線「武蔵中原」駅 徒歩 20 分

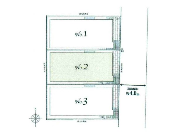
土地面積

55.69㎡

建物面積

100.43㎡

間取り

2SLDK

前回情報更新日 2026.05.08 | 次回情報更新予定日 2026.05.22

耐震に配慮された建物

区画整理分譲地内に住む

1 | 2

この物件のココがオススメ!

「武蔵新城」駅徒歩3分 商店街や商業・医療施設が充実した便利なエリアに全3棟の新築一戸建が誕生です

  • システムキッチン
  • ガス3口
  • 対面キッチン
  • 食器洗い機付き
  • ユニットバス

お気軽にどうぞ!

お気に入りに追加済み

所在地マップ

間取り

お気軽にどうぞ!

お気に入りに追加済み

ローンシミュレーション

頭金・金利の場合

この物件の月々のお支払額

226,531

ボーナス時(年2回)お支払額

150,000

安全性をチェック! 年収に対する返済比率

- %

※会員登録し、詳細情報を記入されますと、全ての物件で自動的に金額が表示され、大変便利です。

※まだ会員登録をされていない方は、下記チェック欄をご記入ください。

※上記計算は物件価格 8,980万円+諸経費 8%込みの金額による結果となります。

※返済金額はあくまでも目安です。

お客様の条件からシミュレーションするには?

会員登録してローン情報を入力しておくと全ての物件に対してローンシミュレーションを表示できます。

周辺環境

武蔵新城駅(駅前のスーパーやドラッグストアなどは、会社帰りの買物にもとても便利です。昔ながらの商店街も複数あり、目的に応じてお買い物ができる街です。)

周辺環境:武蔵新城駅(駅前のスーパーやドラッグストアなどは、会社帰りの買物にもとても便利です。昔ながらの商店街も複数あり、目的に応じてお買い物ができる街です。)(180m)

新城小学校(学校教育目標「心も強く 体も強い子」 ~ 健康でたくましい子  よく考えて行動する子  仲良く助け合う子 ~)

小学校

周辺環境:新城小学校(学校教育目標「心も強く 体も強い子」 ~ 健康でたくましい子  よく考えて行動する子  仲良く助け合う子 ~)(750m)

西中原中学校(生徒数が多い中学校。1学年12クラス。公立中学校では日本で一番のマンモス校。部活動も有名で野球、バレーボール、ハンドボールが有名。)

中学校

周辺環境:西中原中学校(生徒数が多い中学校。1学年12クラス。公立中学校では日本で一番のマンモス校。部活動も有名で野球、バレーボール、ハンドボールが有名。)(1800m)

スーパー クリシマ 新城駅前店(部門によっては各店で独自の品揃えをしております。「今日は何があるかな?」新しい発見があるかも知れません!)

スーパー

周辺環境:スーパー クリシマ 新城駅前店(部門によっては各店で独自の品揃えをしております。「今日は何があるかな?」新しい発見があるかも知れません!)(190m)

新城児童公園

公園

周辺環境:新城児童公園(270m)

あいもーる(商店街)(武蔵新城にはいくつか商店街があります。あいもーるは屋根のある開閉型アーケード商店街です。雨の日も安心してお買い物いただけます。)

周辺の街並み

周辺環境:あいもーる(商店街)(武蔵新城にはいくつか商店街があります。あいもーるは屋根のある開閉型アーケード商店街です。雨の日も安心してお買い物いただけます。)(300m)

お気軽にどうぞ!

お気に入りに追加済み

詳細情報

学区

新城小学校

西中原中学校

用途地域

第二種住居

地目

宅地

建ぺい率

60%

容積率

160%

駐車場

有り ビルトイン車庫

接道

4.0m

権利

所有権

私道面積

無し

セットバック

無し

建物構造

木造

建物階数

3階

築年月

2025/11

入居日

即時

都市計画

市街化区域

取引態様

仲介

物件番号

A1761-2

設備

都市ガス、公営水道、公共下水、防犯カメラ、防犯シャッター、宅配ロッカー、耐震構造、ビルトインガレージ、駐車場1台、区画整理地内、閑静な住宅地、平坦地、都市近郊、地盤調査済、市街地が近い、周辺交通量少なめ、スーパーが近い(10分以内)、駅まで平坦、総合病院徒歩10分以内、小学校徒歩10分以内、保育施設・幼稚園5分以内、公園5分以内、コンビニ5分以内、ウォークインクローゼット、対面キッチン、都市ガス、システムキッチン、ガス3口、対面キッチン、食器洗い機付き、浄水器、ユニットバス、追い焚き、浴室乾燥機、ウォシュレット、トイレ2ヶ所、浴室1坪以上、浴室に窓、暖房便座、浴室暖房、バルコニー、南面バルコニー、3階建以上、LDK18畳以上、全居室6畳以上、採光3面、全室2面採光、リビング階段、クローゼット、ウォークインクローゼット、収納、床下収納、下駄箱、全居室収納、洗面室収納、シャンプドレッサー付き、フラット35Sに対応、年内入居可、モニタ付きインターフォン、複層ガラス、火災警報器(報知機)、セキュリティ充実、通風良好、陽当り良好、24時間換気システム、建物10年保証

こだわり

耐震に配慮された建物、食器洗い洗浄乾燥機、浴室換気乾燥暖房機、外食を楽しめる生活、急行電車でスピード通勤、駅まで平坦ラクラク通勤、子供の多い街に住む、区画整理分譲地内に住む、ウォークインクローゼット、リビングイン階段、LDKは2階に、LDK18帖以上、対面キッチン、小学校10分以内、有料道路インター2キロ以内、スーパー10分以内、コンビニ10分以内、総合病院10分以内、小児科医院10分以内、保育園10分以内、幼稚園10分以内、公園10分以内、都市ガス、フラット35利用可、屋根付きカースペース、3階建て以上建築可能地域

特記事項

 景観法:有/宅地造成工事規制区域:有/高度地区:有/準防火地域:有/日影制限:有/高さ限度:有/間取りSは納戸 建物面積に車庫面積9.74平米を含む。

備考

「武蔵新城」駅徒歩3分 商店街や商業・医療施設が充実した便利なエリアに全3棟の新築一戸建が誕生です

この一戸建てを見ている人におすすめの物件

お気軽にどうぞ!

お気に入りに追加済み

loading...