横浜市鶴見区上末吉4丁目 建築条件無売地 2390万円

物件種別

土地・売り地

価格

2,390万円

所在地

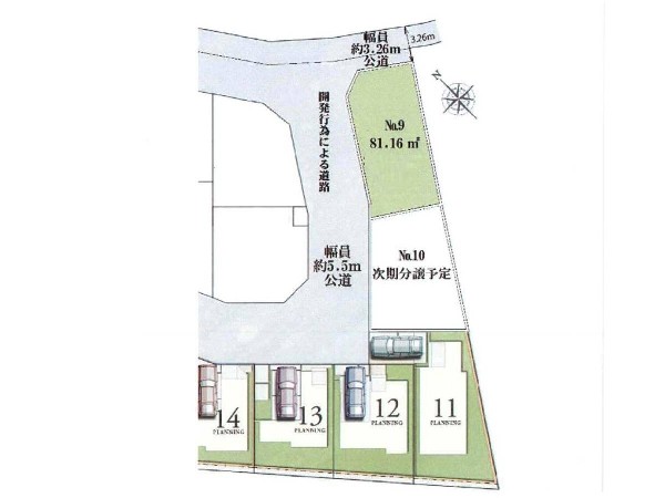
横浜市鶴見区 上末吉4丁目 4-20

交通

京浜東北線「鶴見」駅 バス停「行定庵前」まで 徒歩 3 分 バス利用 10分

横浜線「新横浜」駅 バス停「末吉神社前」まで 徒歩 1 分 バス利用 24分

土地面積

141.08㎡

前回情報更新日 2025.12.25 | 次回情報更新予定日 2026.01.08

建築前自由設計

低層住居専用地域

1 | 5

この物件のココがオススメ!

建築条件はありませんのでお好きなハウスメーカーで建築できます 教育・お買い物施設充実♪ 閑静な住宅街

  • 都市ガス
  • 公営水道
  • 公共下水
  • 緑豊かな住宅地
  • 閑静な住宅地

お気軽にどうぞ!

お気に入りに追加済み

所在地マップ

お気軽にどうぞ!

お気に入りに追加済み

ローンシミュレーション

頭金・金利の場合

この物件の月々のお支払額

41,941

ボーナス時(年2回)お支払額

150,000

安全性をチェック! 年収に対する返済比率

- %

※会員登録し、詳細情報を記入されますと、全ての物件で自動的に金額が表示され、大変便利です。

※まだ会員登録をされていない方は、下記チェック欄をご記入ください。

※上記計算は物件価格 2,390万円+諸経費 8%込みの金額による結果となります。

※返済金額はあくまでも目安です。

お客様の条件からシミュレーションするには?

会員登録してローン情報を入力しておくと全ての物件に対してローンシミュレーションを表示できます。

周辺環境

クロスガーデン川崎(人気のあるスーパーのOKをはじめ、ドラッグストア、ヤマダ電機、飲食店、病院などが入る商業施設です。)

ショッピングセンター

周辺環境:クロスガーデン川崎(人気のあるスーパーのOKをはじめ、ドラッグストア、ヤマダ電機、飲食店、病院などが入る商業施設です。)(1200m)

三ツ池公園(春には1600本の桜が開花する名所。テニスコート、プール、ロング滑り台等があり1日中楽しめる大型公園)

公園

周辺環境:三ツ池公園(春には1600本の桜が開花する名所。テニスコート、プール、ロング滑り台等があり1日中楽しめる大型公園)(1200m)

末吉中学校(三ツ池公園に隣接。教育目標は「高め合う・やりぬく・感動する」。図書館は市民図書室として土日開放する。)

中学校

周辺環境:末吉中学校(三ツ池公園に隣接。教育目標は「高め合う・やりぬく・感動する」。図書館は市民図書室として土日開放する。)(750m)

上末吉二丁目第二公園(住宅街の中にある落ち着いた公園。青空の下で駆け回ったり、遊具で遊んだり、思い思いの遊びができます)

公園

周辺環境:上末吉二丁目第二公園(住宅街の中にある落ち着いた公園。青空の下で駆け回ったり、遊具で遊んだり、思い思いの遊びができます)(850m)

クリエイトSD鶴見下末吉店(医薬品、化粧品、日用品、ベビー用品はもちろん、野菜、精肉、冷凍食品、酒、たばこも取扱う。駐車場有。)

ドラッグストア

周辺環境:クリエイトSD鶴見下末吉店(医薬品、化粧品、日用品、ベビー用品はもちろん、野菜、精肉、冷凍食品、酒、たばこも取扱う。駐車場有。)(1200m)

上末吉小学校(住宅街の中にあり、自然も近くにあるので環境に恵まれている小学校です。学校行事も充実しています。)

小学校

周辺環境:上末吉小学校(住宅街の中にあり、自然も近くにあるので環境に恵まれている小学校です。学校行事も充実しています。)(1000m)

済生会横浜市東部病院(内科、循環器科、消化器科、消化器外科、神経内科、小児科他、幅広い診療内容で、最先端の医療を提供します)

病院

周辺環境:済生会横浜市東部病院(内科、循環器科、消化器科、消化器外科、神経内科、小児科他、幅広い診療内容で、最先端の医療を提供します)(1200m)

ユーコープミアクチーナ末吉店(「安心、良質、お求めやすい価格」をモットーに、信頼できる食材を提供。営業時間9~21時。駐車場あり。)

スーパー

周辺環境:ユーコープミアクチーナ末吉店(「安心、良質、お求めやすい価格」をモットーに、信頼できる食材を提供。営業時間9~21時。駐車場あり。)(600m)

三ツ池幼稚園(園舎が広く綺麗な幼稚園。園庭に巨大な複合遊具があり子供たちに人気。運動会は鼓笛、組体操に感動します。)

幼稚園・保育園

周辺環境:三ツ池幼稚園(園舎が広く綺麗な幼稚園。園庭に巨大な複合遊具があり子供たちに人気。運動会は鼓笛、組体操に感動します。)(550m)

お気軽にどうぞ!

お気に入りに追加済み

詳細情報

学区

上末吉小学校

末吉中学校

用途地域

第一種低層住居専用

地目

宅地

建ぺい率

50%

容積率

100%

駐車場

無し

接道

北西 5.5m

権利

所有権

私道面積

有 97.00m² 1/4

セットバック

無し

入居日

即時

都市計画

市街化区域

取引態様

仲介

物件番号

P0881

設備

都市ガス、公営水道、公共下水、緑豊かな住宅地、閑静な住宅地、都市近郊、市街地が近い、周辺交通量少なめ、スーパーが近い(10分以内)、始発駅、2沿線以上利用可、保育施設・幼稚園5分以内、公園5分以内、コンビニ5分以内、都市ガス

こだわり

お墓近接、鉄塔近接、道路狭い(4メートル未満)、外食を楽しめる生活、子供の多い街に住む、建築前自由設計、スーパー10分以内、コンビニ10分以内、保育園10分以内、幼稚園10分以内、公園10分以内、都市ガス、低層住居専用地域

特記事項

 宅地造成工事規制区域:有/高度地区:有/日影制限:有/敷地面積最低限度:有/高さ限度:有/横浜市建築基準条例第3条による制限有、緑化地域。 建築条件:なし

備考

建築条件はありませんのでお好きなハウスメーカーで建築できます 教育・お買い物施設充実♪ 閑静な住宅街

この一戸建てを見ている人におすすめの物件

お気軽にどうぞ!

お気に入りに追加済み

loading...